Ter. residenziale in vendita

Ranica, Via Zanino Colle
€ 345.000
2900 Mq 2900 Mq

Ter. residenziale in vendita

Ranica, Via Zanino Colle

Descrizione annuncio

RANICA:

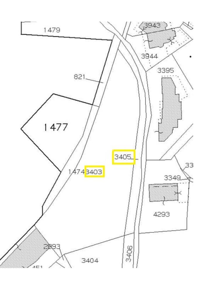
Nella prestigiosa zona Borgosale di Ranica, ai piedi della collina ed immerso nel verde, proponiamo terreno edificabile con una superficie di 2900 metri quadri, di cui 400 edificabili (per un totale di 1200 metri cubi edificabili).

Il lotto è accessibile da due strade, poste sulle due estremità della superficie, che dovranno essere urbanizzate.

Ideale per l'edificazione di due villette singole o di un piccolo complesso immobiliare.

Mostra tutto

Nelle vicinanze

Trasporto pubblico Trasporto pubblico
Alzano Centro
Alzano Centro
1,5 Km
Ranica
Ranica
1,5 Km
945
945
700 m
946
946
700 m
Ricariche auto elettriche Ricariche auto elettriche
Alzano Stadio | Ressolar
730 m
Ranica Oratorio S. Filippo Neri | Ressolar
1,0 Km
Ranica Marconi | Ressolar
1,4 Km
Stazione TEB ALZANO Centro | ENELX
1,5 Km
Ranica Stazione TEB | EnelX
1,6 Km
Scuole Scuole
Scuola primaria “Antonio Tiraboschi”
760 m
Scuole
940 m
Scuola primaria
950 m
Scuola media di Nese
970 m
Scuolo secondaria "Maria Piazzoli"
1,0 Km
Farmacia Farmacia
Farmacia Bolzoni
700 m
Farmacia
1,3 Km
Farmacia San Martino
1,5 Km
Farmacia Pedrinelli
1,5 Km
Farmacia Alzano Sopra
1,9 Km
Ospedali Ospedali
Ospedale di Alzano Lombardo
1,2 Km
Don Orione
2,5 Km
Avis
2,7 Km
Pia Fondazione Piccinelli
3,0 Km
Supermercati Supermercati
DPiù discount
970 m
MD
1,6 Km
Supermercati
1,7 Km
Esselunga di Nembro
2,9 Km
Aldi
3,0 Km
Negozi Negozi
Minimarket Sapienza pane e verdura
880 m
Trionfini
1,4 Km
Negozi
1,9 Km
Proposte Moda
2,0 Km
Minimarket Carefour- Brissoni
2,2 Km
Bar Bar
Caffèdicola67
720 m
BaRanga
850 m
Bar Torrette
1,3 Km
Barcicletta
1,6 Km
Bar delle piscine
1,7 Km
Ristoranti Ristoranti
Al Vecchio Tagliere
930 m
Ristorante Pighet
1,1 Km
Cascine Beretta
1,1 Km
Don Luis
1,3 Km
Locanda della Corte
1,3 Km
Mostra tutto

Caratteristiche

Rif.:
61187765
Piano:
Terra
Libero:
Mostra tutto
Prezzo Prezzo
€ 345.000
Rata mutuo Rata mutuo
€ 1.635 / mese
Spese annue Spese annue
€ 0
Proponi il tuo prezzoProponi il tuo prezzo

Classe Energetica

Questo immobile è esente da classe energetica

Ti interessa visionare l'immobile?

Fissa un appuntamento  Fissa un appuntamento

Richiedi informazioni

Clicca su Leggi per aprire l'informativa
* Questi campi sono obbligatori

Calcola il tuo mutuo

Semplice e senza impegno
Anticipo

( % )
Mutuo

( % )

pochi semplici passi

inserisci i tuoi dati
Questionario completato
Grazie per aver richiesto un appuntamento senza impegno con un nostro Consulente del Credito e Assicurativo.

Hai inserito correttamente tutti i dati necessari e a breve riceverai una e-mail con un link da convalidare per inviare i tuoi dati.
Affiliato
Agenzia Imm.re La Torre Srl
Via Donizetti, 5/C 24020 Torre Boldone (BG)

Il nostro staff


  • Anna Amato
    Affiliata

  • Rim Abdelkader
    Collaboratrice

  • Devid Baggi
    Collaboratore

  • Luca Colombi
    Responsabile
Via Donizetti, 5/C 24020 Torre Boldone (BG)
Zona: Torre Boldone - Ranica
Mostra su mappa
Orari: da lunedì a venerdì: da 9.00 a 12.30/ 14.30 a 19:30. Sabato: da 9.00 a 12.30 / 14.30 a 18.00
Affiliato
Agenzia Imm.re La Torre Srl
Via Donizetti, 5/C 24020 Torre Boldone (BG)

2026 Tecnocasa Franchising S.p.A. - P. IVA 08365160152 - Via Monte Bianco 60/A 20089 Rozzano (MI). Ogni agenzia ha un proprio titolare ed è autonoma. Privacy policy | Policy utilizzo | Cookie policy